| 交通 | JR中央線(東京~塩尻) / 八王子駅 徒歩10000m |
|---|---|
| その他交通 | JR五日市線 / 武蔵増戸駅 徒歩3500m |
| 所在地 | 八王子市上川町 |
| 物件種目 | 貸地 |
| 賃料 | 19.36万円 | 管理費等 | - |
|---|---|---|---|
| 敷金/保証金 | 2ヶ月/なし | 礼金 | 2ヶ月 |
| 敷引 | ‐ | 維持費等 | ‐ |
| その他一時金 | ‐ | 権利金 | ‐ |
| 保険等 | ‐ | ||
| 坪単価 | 880円 |
| 設備 | 電気引き込み、下水道取り出し |
|---|---|
| 特記事項 | 〈整地について〉 契約後、約1か月程で整地いたします。(天候等により工期が変わることがあります。) 出入口は現状位置で同間口といたします。出入口変更等の費用は借主様のご負担といたします。 詳細はご相談の上といたします。 参考用途:駐車場 重機置場 ドローン基地、資材置場など |
| 備考 | ‐ |
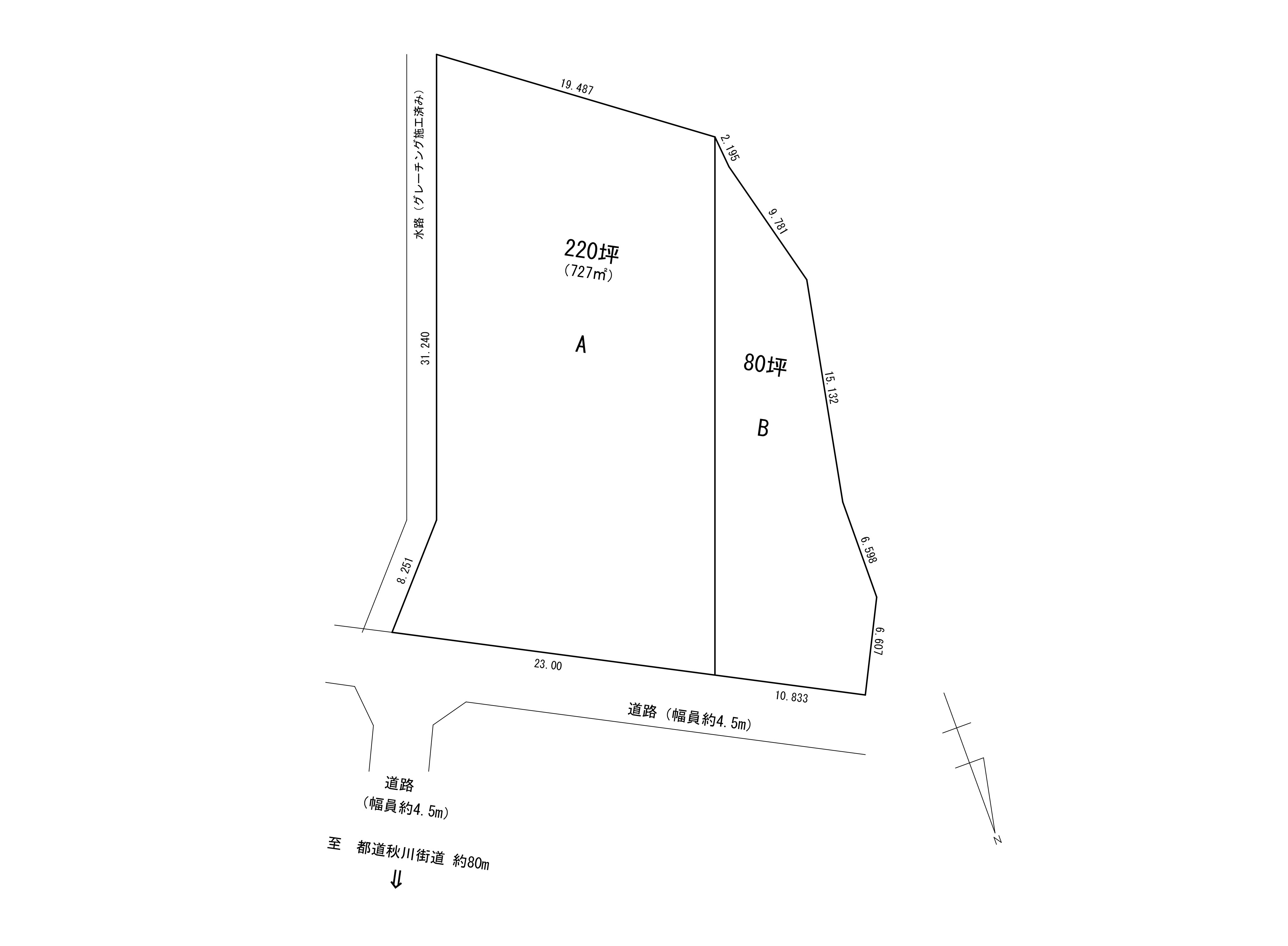
| 土地面積 | 727㎡ | 坪数 | 220坪 |
|---|---|---|---|
| 私道負担面積 | ‐ | 都市計画 | 調整区域 |
| 用途地域 | ‐ | 最適用途 | 事業用地 |
| 建ぺい率 | ‐ | 容積率 | ‐ |
| 地勢 | ‐ | 接道状況 | 北 接面23.0m |
| 地目 | 畑 | セットバック | ‐ |
| 契約期間 | 2年 | 現状 | 更地 |
|---|---|---|---|
| 条件等 | ‐ | 引渡可能時期 | 相談 |
| 更新料 | 新賃料1ヶ月 |